عادي

تحذيرات من ثوران بركان في أعماق المحيط الهادئ

00:08 صباحا
قراءة دقيقة واحدة

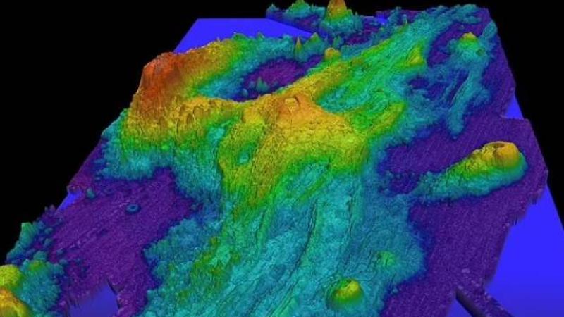
حذر علماء أمريكيون من أن بركاناً ضخماً في أعماق المحيط الهادئ، يعرف باسم «أكسيال سيماونت»، قبالة سواحل ولاية أوريغون الأمريكية، قد يثور في أي لحظة، بعد تسجيل علامات واضحة على ازدياد نشاطه.
ويقع البركان على بعد نحو 300 ميل من اليابسة، وتحت عمق يصل إلى 5,000 قدم، ما يجعله بعيداً عن تهديد مباشر للبشر.
ومع ذلك، فإن ثورانه قد يؤدي إلى تغييرات جذرية في قاع المحيط، كما حدث في ثوراته السابقة في أعوام 1998، 2011، و2015.
وأكد ويليام ويلكوك، أستاذ فيزياء الأرض البحرية بجامعة واشنطن، أن البركان قد يثور مجدداً بسبب تراكم الماغما تحته. بحسب موقع «ladbible» البريطاني.
وقال: «بلغ الآن مستوى الخطر نفسه الذي وصل إليه قبل الثورات الثلاث الأخيرة، ما يعني أنه قد يثور في أي يوم إذا صحّت الفرضية».
وأوضحت البروفيسورة ديبورا كيلي، من كلية علوم المحيطات في جامعة واشنطن، أن عدد الزلازل المسجلة حول البركان يتراوح بين 200 إلى 300 يومياً، مع فترات قصيرة يرتفع فيها العدد إلى 1000 زلزال يومياً بسبب تأثير المد والجزر.
وقالت: «إذا كانت مؤشرات عام 2015 صحيحة، فنتوقع رؤية أكثر من 2000 زلزال يومياً لعدة أشهر قبل الثوران».

لاستلام اشعارات وعروض من صحيفة "الخليج"